Bouwgrond
€ 235.000

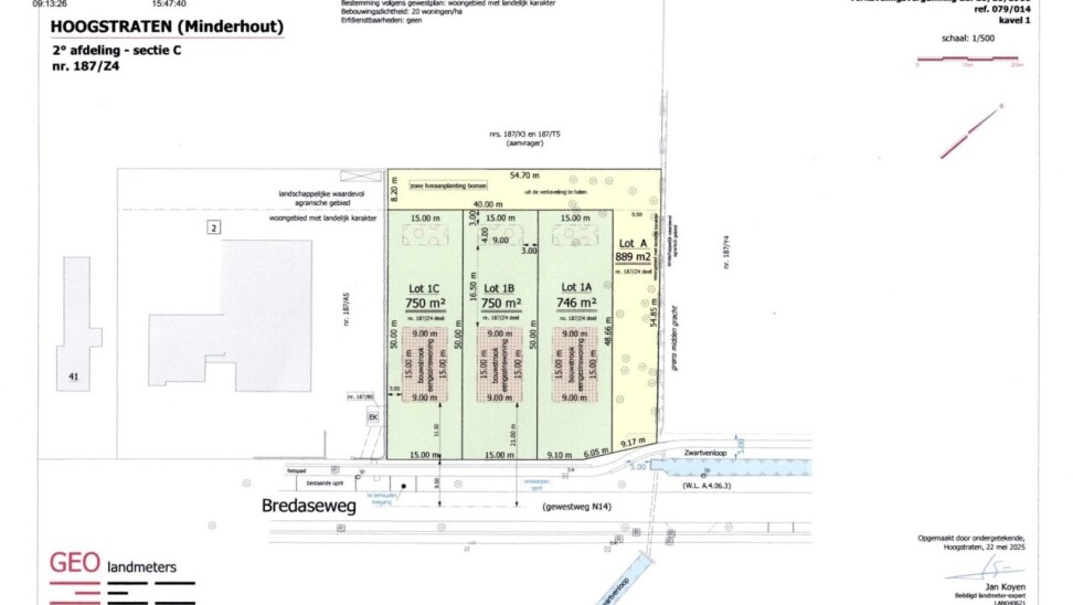
Bredaseweg 45, 2322 Minderhout
    • delen

Omschrijving Ref.: 7641347

Perceel bouwgrond voor een vrijstaande eengezinswoning. Gelegen aan de doorgaande weg Minderhout - Meerle. Lot 1C.
Afmetingen :
- totale oppervlakte : 750,00 m².
- perceelsbreedte : 15,00 meter
- perceelsdiepte : 50,00 meter
- maximaal te bebouwen oppervlakte : 9,00 m breed x 15,00 m diep
Bouwvoorschriften verkrijgbaar ten kantore.


Uw contact

Vragen over deze eigendom ref: 7641347
contact

Details van het pand

Financieel

Prijs
€ 235.000,00
Beschikbaarheid
Vanaf akte

Terrein

Grondoppervlakte
750,00 m²
Terreindiepte
50,00 m

Technieken

Elektriciteit
Ja
Water
Ja

Stedenbouw

Bestemming
Niet meegedeeld
Bouwvergunning
Niet meegedeeld
Verkavelingsvergunning
Niet meegedeeld
Voorkooprecht
Niet meegedeeld
Dagvaarding
Niet meegedeeld
O-peil
Niet gelegen in een overstromingsgevoelig gebied
P-score
D

Meer info over deze eigendom

Bedankt voor je bericht, we contacteren je zo spoedig mogelijk.
Er was een probleem bij het versturen van het formulier, gelieve opnieuw te proberen.
(*) Gelieve de verplichte velden in te vullen.